Sagebrush Farm Metropolitan District No. 1 Documents
2024 ANNUAL REPORT
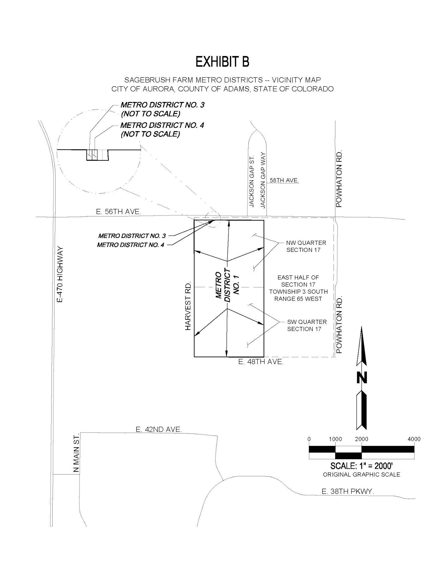
SAGEBRUSH FARM METROPOLITAN DISTRICT NO. 1
As required by Section 32-1-207(3)(c), C.R.S. and Section VIII of the District’s Second Amended and Restated Service Plan, approved by the City of Aurora, County of Adams, State of Colorado (the “City”) on September 14, 2024, the following report of the activities of Sagebrush Farm Metropolitan District No. 1 (the “District”) from January 1, 2024 to December 31, 2024 is hereby submitted.
A. Boundary changes made: The District did not propose or make any boundary changes as of December 31, 2024.
B. Intergovernmental Agreements entered into or terminated: The Districts became a party to the following Intergovernmental Agreements in 2024:
· Cost Sharing Agreement Median Landscape Installation and Operation between the District and Velocity Metropolitan District No. 1, effective July 1, 2024.
· Cost Sharing Agreement East 56th Avenue Roadway Improvements between the District and Velocity Metropolitan District No. 1, effective August 13th, 2024.
· Cost Sharing Agreement Median Landscape Installation and Operation between the District and Windler Operations Metropolitan District (f/k/a WH Metropolitan District No. 10), effective October 9th, 2024.
· Agreement Regarding Inclusion into the Aerotropolis Regional Transportation Authority, Regional Transportation System Improvements Funding, and Imposition, Collection and Transfer of ARI Mill Levies (Sun Empire Entities / Karius Inclusion) between the District, Aerotropolis Regional Transportation Authority, Sun Empire Venture, LLC, Sun Empire One Owner, LLC, Karius, Inc. and Sun Empire Director Parcel Owner, LLC, effective November 14, 2024.
C. Access information to obtain a copy of rules and regulations adopted: The District did not adopt any rules or regulations as of December 31, 2024. In the event the District adopts rules or regulations in the future, such documents may be accessed at the offices of McGeady Becher Cortese Williams P.C., 450 E. 17th Ave., Suite 400, Denver, CO 80203, (303) 592-4380.
D. Summary of litigation involving the District’s public improvements: The District was not involved in any litigation during 2024.
E. Status of the District’s construction of public improvements: The following Public Improvements were constructed in 2024:
56th Avenue Public Improvements and Construction: curb and gutter, sidewalk, bike path, streetlights, landscaping and paving.
Harvest Mile Public Improvements and Construction: curb and gutter, sidewalks, street lighting, landscaping and paving.
Second Creek Road Public Improvements and Construction: street lighting and landscaping.
52nd Avenue Public Improvements and Construction: curb and gutter, sidewalks, landscaping, street lighting and paving.
Water Quality Pond Public Improvements and Construction: landscaping, bike trail and lighting.
F. Conveyances or dedications of facilities or improvements, constructed by the District, to the City: A partial section of 56th Avenue, Harvest Road and 52nd Avenue have been conditionally accepted by the City with a 12-month warranty period.
G. Final assessed valuation of the District for the reporting year: $16,566,460.
H. Current year’s budget:
2025 BudgetI. Audited financial statements for the reporting year (or application for exemption from audit):
2024 AuditJ. Notice of any uncured events of default by the District, which continue beyond a ninety (90) day period, under any debt instrument: To our knowledge, there are no uncured events of default by the District which continue beyond a ninety (90) day period.
K. Any inability of the District to pay its obligations as they come due, in accordance with the terms of such obligations, which continues beyond a ninety (90) day period: To our knowledge, the District has been able to pay its obligations as they come due.
*For accessibility purposes, references to exhibits have been removed and links to exhibit documents have been added. For a copy of the Annual Report with exhibits as filed with the jurisdiction, please contact info@specialdistrictlaw.com

The Transparency Notices for the Districts can be accessed on the Special District Association: